DOI: https://doi.org/10.1038/s41586-024-07426-9
PMID: https://pubmed.ncbi.nlm.nih.gov/38778109
تاريخ النشر: 2024-05-22
المؤلف: Jingjing Wu وآخرون
الموضوع الرئيسي: علوم الأعصاب والهندسة العصبية
نقاش
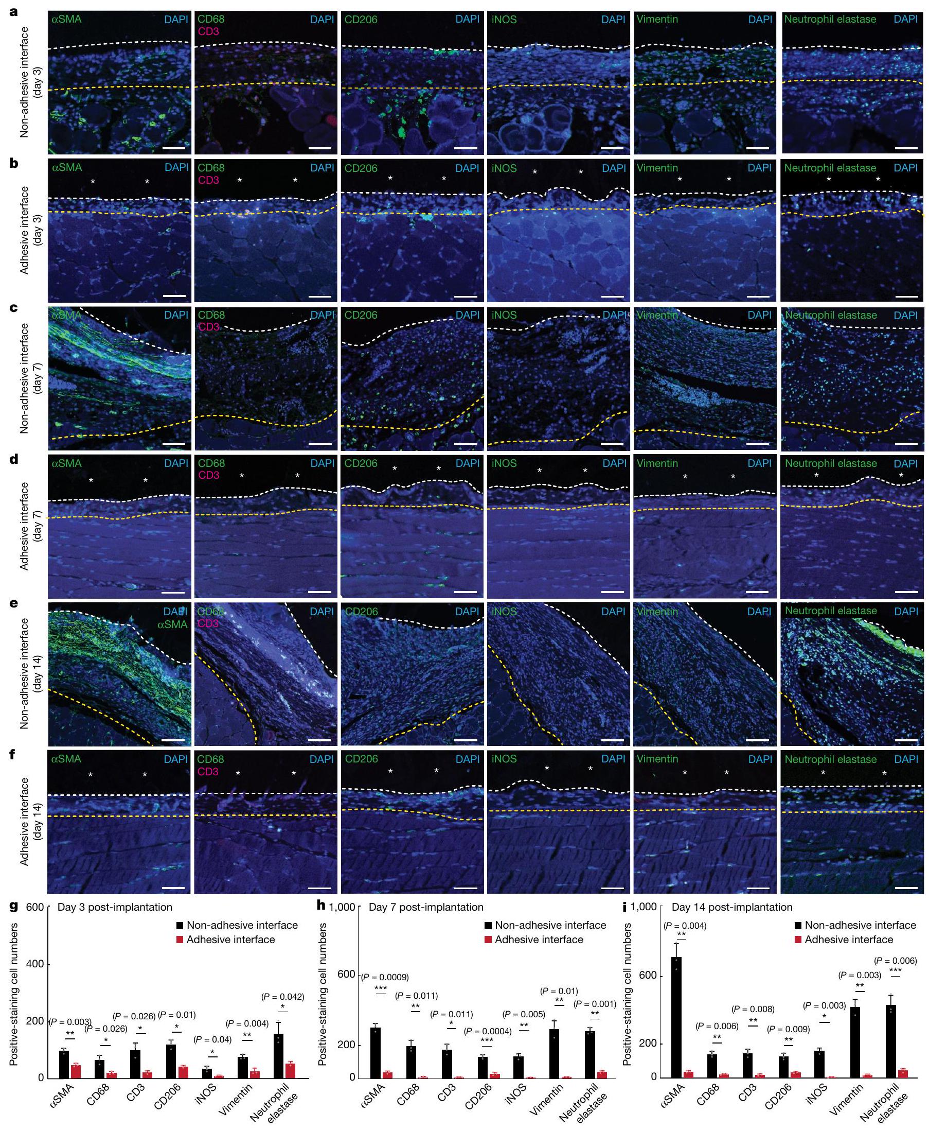
في هذه الدراسة، قام المؤلفون بالتحقيق في التفاعلات بين واجهات الأنسجة اللاصقة وغير اللاصقة خلال رد الفعل تجاه الجسم الغريب، مع التركيز على امتصاص البروتين وتسلل خلايا المناعة. أظهر اختبار امتصاص البروتين أن واجهة الأنسجة اللاصقة أظهرت مستويات أقل بكثير من امتصاص البروتين لكل من الألبومين والفبرينوجين مقارنة بالواجهة غير اللاصقة (P < 0.0001). أشارت صبغة المناعة الفلورية إلى أن عددًا أقل من خلايا المناعة، بما في ذلك الخلايا الليفية، العدلات، البلعميات، وخلايا T، تسللت إلى الواجهة اللاصقة في جميع النقاط الزمنية (الأيام 3، 7، و14) بعد الزرع. ومن الجدير بالذكر أنه في اليوم الثالث، أظهرت الواجهة اللاصقة تعبيرًا أعلى عن Nos2 والسيتوكينات الالتهابية، مما يشير إلى استجابة قوية من العدلات المؤيدة للالتهاب التي تم حلها بحلول اليوم السابع. أظهر التحليل الإضافي من خلال تسلسل RNA الشامل أنماطًا مميزة من التعبير الجيني بين الواجهات اللاصقة وغير اللاصقة، مع اختلافات كبيرة في التعبير الجيني المتعلقة بالالتهاب وتطوير الأنسجة. كانت الواجهة اللاصقة مرتبطة بعمليات مثل تكاثر الخلايا وتكوين الأعصاب، بينما أظهرت الواجهة غير اللاصقة غنى في العمليات المتعلقة بالتليف. أكدت الدراسات الحية في نماذج القوارض والخنازير أن الزرعات اللاصقة اندمجت بشكل جيد مع الأنسجة المحيطة دون تشكيل كيس ليفي، على عكس الزرعات غير اللاصقة. تشير هذه النتائج إلى أن الواجهة اللاصقة لا تسهل فقط الاندماج الميكانيكي ولكنها أيضًا تخفف من الاستجابات الالتهابية، مما يوفر استراتيجية واعدة لتحسين تفاعلات الزرع والأنسجة وتقليل التليف في التطبيقات السريرية.
DOI: https://doi.org/10.1038/s41586-024-07426-9
PMID: https://pubmed.ncbi.nlm.nih.gov/38778109
Publication Date: 2024-05-22
Author(s): Jingjing Wu et al.
Primary Topic: Neuroscience and Neural Engineering
Discussion
In this study, the authors investigated the interactions between adhesive and non-adhesive implant-tissue interfaces during the foreign body reaction, focusing on protein adsorption and immune cell infiltration. The protein adsorption assay revealed that the adhesive implant-tissue interface exhibited significantly lower levels of protein adsorption for both albumin and fibrinogen compared to the non-adhesive interface (P < 0.0001). Immunofluorescence staining indicated that fewer immune cells, including fibroblasts, neutrophils, macrophages, and T cells, infiltrated the adhesive interface at all time points (days 3, 7, and 14) post-implantation. Notably, on day 3, the adhesive interface showed higher expression of Nos2 and inflammatory cytokines, suggesting a robust pro-inflammatory neutrophil response that resolved by day 7. Further analysis through bulk RNA sequencing demonstrated distinct transcriptomic profiles between the adhesive and non-adhesive interfaces, with significant differences in gene expression related to inflammation and tissue development. The adhesive interface was associated with processes such as cell proliferation and neurogenesis, while the non-adhesive interface showed enrichment in fibrosis-related processes. In vivo studies in both rodent and porcine models confirmed that the adhesive implants integrated well with the surrounding tissue without forming a fibrous capsule, unlike the non-adhesive implants. These findings suggest that the adhesive interface not only facilitates mechanical integration but also mitigates inflammatory responses, offering a promising strategy for improving implant-tissue interactions and reducing fibrosis in clinical applications.
